Alkuvalmistelut
Maasto on suositeltavaa mallintaa omaan kuva-mallipariinsa. Ohjelmiston perustoimitukseen kuuluvissa template-rakennuksissa on valmiina Maasto -kuva-mallipari. Aktivoi kuva-mallipari ennen maaston mallintamista.
Ennen kuin lisäät maaston, luonnostele tontin rajat ja korkeuskäyrät piirtämällä ne viivatoiminnoilla. Voit käyttää lähtötietona karttapohjaa. TIF-formaatissa olevan karttapohjan voit lukea 2D-piirustukseen rasterikuvatoiminnolla.

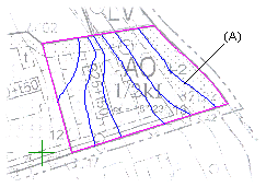
Piirrä rasterikuvan päälle tontin rajaviivat ja korkeuskäyrät viivatoiminnoilla. Korkeuskäyrät voit piirtää esimerkiksi avoimena käyränä (A). Poista rasteri, kun olet piirtänyt viivat. Kun lisäät maaston, valitset piirtämäsi pisteet tai viivat ja annat niille korkeusaseman.

Jos karttapohja on DWG- tai DXF-formaatissa, voit lukea karttapohjan 2D-piirustukseen alipiirustuksena. Tällöin voit valita korkeuspisteet tai -viivat suoraan alipiirustuksesta maastoa lisätessäsi.
Mallintamisen sijaan voit myös tuoda maaston tekstitiedostona (TXT), CSV-tiedostona tai SOS-tiedostona.
Rajatut alueet ja kaivannot
Voit luoda maastoon tie- ja piha-alueita ja tehdä kaivantoja. Piirrä ensin alueen tai kaivannon reunaviivat 2D-piirustukseen siten, että niistä muodostuu suljettu viivaketju (B).

Reunaviiva voi sisältää ympyrän tai ellipsin kaaria (C), mutta ei käyriä. Alueen tai kaivannon reunaviivat voivat ulottua maaston reunaviivojen ulkopuolelle (D).

